イベントを読み込み中

« イベント一覧

  • このイベントは終了しました。

①サンゴホール

2月 11 @ 9:00 AM - 10:00 AM

カラカラ先生下地島
天候晴れ
風向
1.5m
気温22℃
水温22.5℃
EN9:01 am
EX9:37 am
MAX32.5m
AVE14.1m
透明度10m
潮流なし
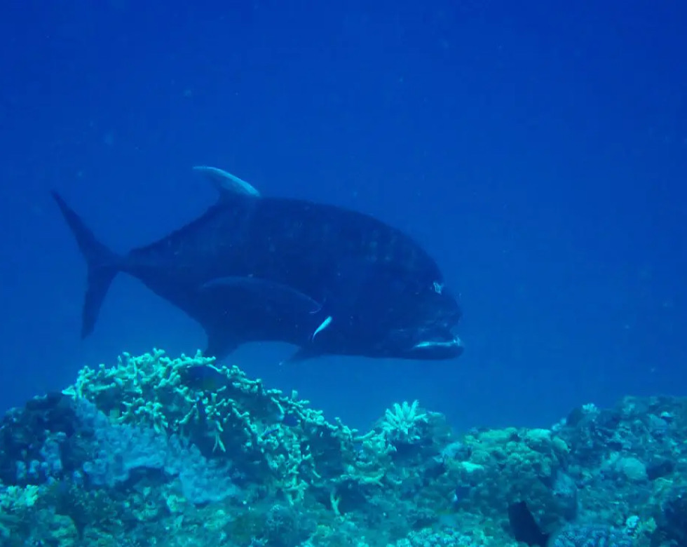
生物・ロウニンアジ
・ネムリブカ
・ホウセキキントキ
メモこんにちは😃
サンゴホールでたら
ネムリブカとロウニンアジがウロウロしてました!

詳細

日付:
2月 11
時間:
9:00 AM - 10:00 AM
イベントカテゴリー:

主催者

カラカラ先生

会場

宮古島沖