0980-74-2324
電話受付時間:7:00~19:00
メールお問い合わせ
Menu
ダイビングTOP
ファンダイビング
体験&ライセンス
ショップ
代表挨拶
会社概要&アクセス
予約後確認フォーム
予約&お問い合わせ
ダイビングTOP
ファンダイビング
ファンダイビングQ&A
体験&ライセンス
体験ダイビング
体験ダイビングQ&A
OWライセンス講習
OW講習Q&A
AOW講習
リフレッシュ&アフタースクール
ショップ
予約&お問い合わせ
代表挨拶
会社概要&アクセス
宮古島で25年の歴史
ダイビング予約フォーム
予約後確認フォーム
宿泊施設を併設!
あったかや館内のご案内
あったかや予約フォーム
あったかや空室状況
スタッフ紹介
話題のエンリッチドエアー
コーラルビーン号ご紹介
レンタル器材
タイムスケジュール
メディカルチェック
毎日の海ログ
過去の海ログ
船長のキジムナーブログ
あったかブログ
サイトマップ
プライバシーポリシー
ダイビングTOP
ファンダイビング
体験&ライセンス
ショップ
代表挨拶
会社概要&アクセス
予約後確認フォーム
予約&お問い合わせ
ダイビングTOP
ファンダイビング
体験&ライセンス
ショップ
代表挨拶
会社概要&アクセス
予約後確認フォーム
予約&お問い合わせ
Menu
« イベント一覧
このイベントは終了しました。
②333
12月 20, 2025 @ 11:00 AM
-
12:00 PM
«
①パナタ
③沈船
»
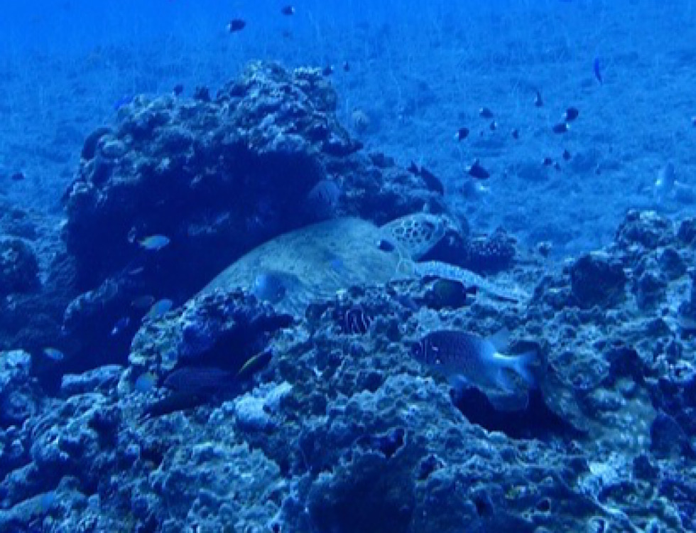
OLYMPUS DIGITAL CAMERA
天候
くもり
風向
南東の風後北東の風
波
2m後1.5m
気温
22℃
水温
24℃
EN
10:50 am
EX
11:32 am
MAX
30.5m
AVE
13.5m
透明度
10m
潮流
なし
生物
・アオウミガメ
・ウメイロモドキ
・アカヒメジ
・ノコギリダイ
・ミゾレフグ
・アカククリ
・ミゾレフグ
メモ
最後ゲストさんと一緒に泳ぐ
ミゾレフグ🐡🐡🐡
とっても可愛かったです!
カレンダーに追加
Google カレンダー
iCalendar
Outlook 365
Outlook Live
詳細
日付:
12月 20, 2025
時間:
11:00 AM - 12:00 PM
イベントカテゴリー:
イベントカレンダー
主催者
カラカラ先生
会場
宮古島沖